Об итогах еженедельных ярмарок выходного дня информирует министерство сельского хозяйства и продовольствия Рязанской области.
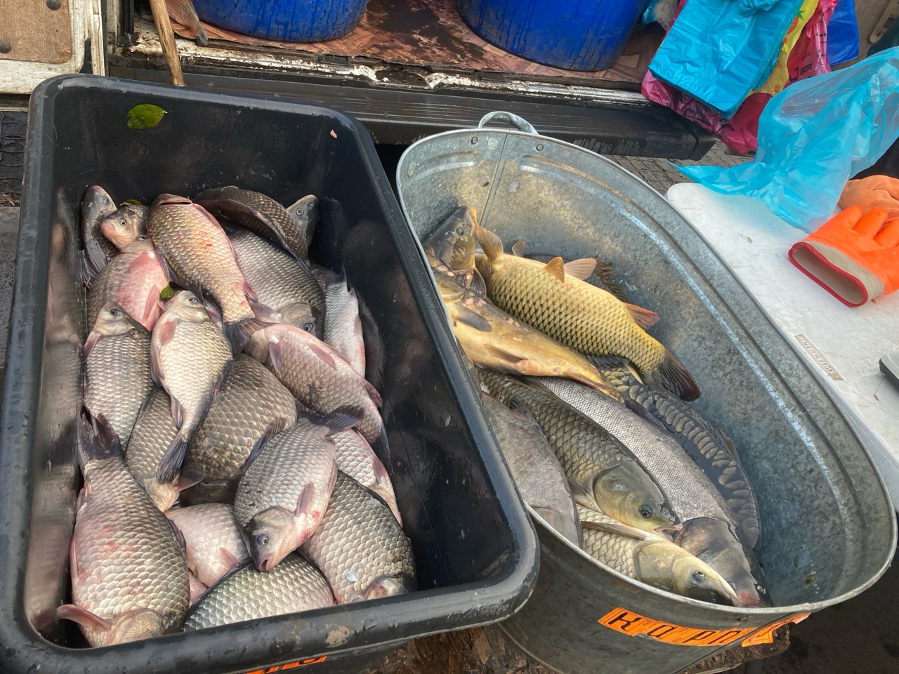
В субботу, 1 февраля, в ярмарках выходного дня приняли участие 157 региональных производителей продуктов питания, в том числе фермеры и граждане, ведущие личные подсобные хозяйства. На 251 торговой точке реализовано 7,2 т мяса, полуфабрикатов и колбасных изделий, 4,2 т молока и молочных продуктов, 3,7 т хлеба и хлебобулочных изделий, 0,24 т меда и продуктов пчеловодства, 1,5 т живой рыбы, 1,2 т картофеля, 1,7 т овощей, 7,3 т яблок и груш.
Очередные ярмарки выходного дня пройдут 8 февраля на пяти площадках: у КДЦ «Октябрь», ТЦ «Европа», ТЦ «КИТ», на улице Дзержинского (территория УРТ) и около здания ЦНТИ.
Добавим, что проведение еженедельных ярмарок выходного дня соответствует целям и задачам федерального проекта «Малое и среднее предпринимательство и поддержка индивидуальной предпринимательской инициативы» нацпроекта «Эффективная и конкурентная экономика». Они организованы министерством сельского хозяйства и продовольствия Рязанской области совместно с министерством экономического развития региона.
Фото Марины Турбиной












Купить электронную копию газеты