В минувшую субботу на четырех площадках Рязани прошли традиционные ярмарки выходного дня. В них приняли участие 163 региональных производителя продуктов питания, в том числе фермеры и граждане, ведущие личные подсобные хозяйства.
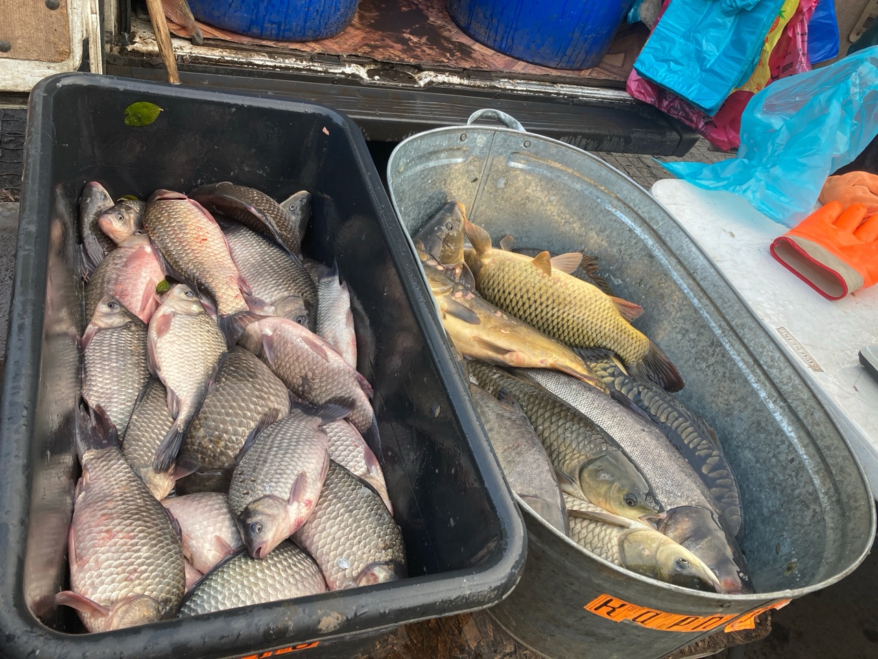
Как сообщает минсельхоз региона, на ярмарках продали 6 тонн мяса, полуфабрикатов и колбасных изделий, 4,2 тонны молока и молочных продуктов, 4 тонны хлеба и хлебобулочных изделий, 0,3 тонны меда и продуктов пчеловодства, 1,5 тонны живой рыбы, 3 тонны картофеля, 2 тонны овощей, 5 тонн яблок и груш.
Очередные ярмарки выходного дня пройдут в Рязани 16 ноября у КДЦ «Октябрь», ТЦ «КИТ», на улице Дзержинского (территория УРТ) и около здания ЦНТИ.
Фото Марины Турбиной.















Купить электронную копию газеты